APP下載
活動
爆料
圖輯
AI爆報
追蹤新聞
3
台灣彩券開獎直播中
三立iNEWS新聞台線上直播
LIVE三立+24小時直播
即時
WBC經典賽
美以突襲伊朗
新聞
熱門
政治
社會
娛樂
生活
新奇
健康
國際
兩岸
運動
財經
房產
旅遊
科技
汽車
遊戲
ESG
影音
總覽
政論
節目
熱搜
直播
iNEWS
專題
總覽
特企
專頁
大事件
彩券
專欄
民調
快訊
憂中國增軍事威脅!這義大利議員聲明挺台
07:41
嘉義恐怖火警!烈焰連吞13戶1人灼傷送醫
07:39
小S當街痛哭惹鼻酸 艾莉絲憶1事:能理解
07:38
航空界奧斯卡!桃機1服務奪第一狠甩日本
07:23
每月1萬滾成2000萬 專家:買1檔ETF忘了它
07:17
土地公龍抬頭遇春分 命理師曝4招掃霉運
07:17
卡達與伊朗油田遭攻擊 油價飆近110美元
07:06
伊朗飛彈襲卡達!最大天然氣生產樞紐起火
07:00
1國民小吃漲破百 大票饕客拒買:多年沒吃
07:00
養龍蝦炒股?驚變「全自動虧錢」!
07:00
爆財務危機、接不到業配 鍾明軒再發聲
06:54
要3張衛生紙被鴨肉店公審!女一句母心疼
06:53
頂台積電工程師光環…領高薪竟淪超商慣竊
06:50
BTS回歸演唱會 周邊公司強迫員工休年假
06:41
5檔飆股「全被抓去關」 全部關到4月1日
06:34
鎖定原料價格!福貞避險有一套保毛利
06:30
「活躍槍手」闖美空軍基地…釀1死1傷慘案
06:30
婚變+失靠山打擊!方志友經紀公司爆收攤
06:24
鋒面通過今起變天 北台灣降溫雨連下3天
06:18
台指期夜盤重挫661點 台股開盤恐不妙!
06:18
台灣彩券開獎直播中
20:31
長耀辰挺青年首付18萬 高品質泳池花園宅
18:00
企業齊聚!逾五成免經驗助新鮮人起跑
18:00
皮膚科學翻轉美業 創一條龍科技養膚
12:00
智慧城市展登場!電信業者連續13年參展
11:00
力挺拔河國家隊 華南銀行頒奪牌激勵獎金
10:00
越睡肩頸越痠痛?!專家:選對枕頭是關鍵
10:00
首頁
關鍵字
蘇拉
蘇拉
不斷更新/颱風假掰了?全台停班停課一覽
中央氣象局根據最新資料指出,第9號颱風「蘇拉」中心目...
2023/08/30 20:27
幸好閃過台灣!蘇拉「清晰颱風眼」照片曝
強颱蘇拉替恆春半島帶來強烈雨勢,氣象局指出,蘇拉接觸...
2023/08/30 19:44
強颱蘇拉進入南海 迎「一生的強度巔峰」
強烈颱風蘇拉掠過巴士海峽,造成台南、高雄、屏東等地出...
2023/08/30 19:37
蘇拉未登陸台灣 台南、高雄明正常上班課
中央氣象局根據最新資料指出,第9號颱風蘇拉中心目前在...
2023/08/30 18:23
蘇拉陸警最快深夜解除 週四風雨仍大
記者谷庭/台北報導受到強颱「蘇拉」影響,中央氣象局今...
2023/08/30 18:14
新/蘇拉風雨減輕 台東縣宣布明上班上課
蘇拉颱風逐漸往西北西前進,台東地區風雨比原先預估減輕...
2023/08/30 17:16
新/強颱蘇拉來了!3縣市豪、大雨特報
受到第9號颱風蘇拉外圍環流影響,易有短延時強降雨,中...
2023/08/30 16:04
淹小腿肚高!旗津海水倒灌 市場變泳池
蘇拉颱風逐漸往南移,南台灣大風大雨還淹水!屏東東港豐...
2023/08/30 15:28
今年最高溫!苗栗「颱風沉降」飆40.5度
根據今(30)日14時最新資料,「蘇拉」颱風暴風圈目...
2023/08/30 15:13
蘇拉「這時間」易釀災 南部今滿潮時刻曝
蘇拉颱風已增強為強烈颱風,今天(30日)晚間到明天(...
2023/08/30 14:13
陣風最高10級!屏東龍磐公園風力強
蘇拉颱風海陸警報齊發,不但小琉球遊客提早回程,東琉線...
2023/08/30 14:02
蘇拉颱風11時觸陸!全台風雨時程一次看
持續關注颱風動態!氣象局說,強烈颱風蘇拉30日11時...
2023/08/30 12:09
新/蘇拉觸陸!準颱風「鴻雁」對台影響曝
根據今(30)日11時最新資料顯示,第9號颱風「蘇拉...
2023/08/30 11:44
蘇拉抵台正南方風雨最劇時間曝 4地注意
蘇拉颱風雖然中心不會登陸台灣,不過仍會為台灣帶來風雨...
2023/08/30 10:50
新颱鴻雁最快今晚生成 預估「朝這裡走」
台灣附近的海面上,目前除了第9號颱風「蘇拉」、第11...
2023/08/30 10:18
不只蘇拉!海葵颱風8/31開始影響北部
根據中央氣象局指出,蘇拉昨(29)日晚間轉為強烈颱風...
2023/08/30 09:58
新/蘇拉颱風逼近!3縣市發豪、大雨特報
中央氣象局今(30)早09:35發布豪雨、大雨特報,...
2023/08/30 09:54
蘇拉暴風圈中午觸陸 今深夜有望解除陸警
中央氣象局預計強烈颱風「蘇拉」暴風圈今(30)日中午...
2023/08/30 09:28
蘇拉攪局 恆春傳承百年「豎孤棚」喊卡
蘇拉颱風接近,擔心入夜風雨漸強,屏東滿州的八瑤部落和...
2023/08/30 09:03
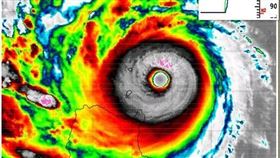
蘇拉強度達顛峰!今風雨漸增明影響最劇烈
30日2時觀測資料顯示:蘇拉颱風眼清晰可見,眼牆厚實...
2023/08/30 08:00
3地颱風假達標!蘇拉暴風圈「這時」觸陸
颱風蘇拉逐漸靠近台灣,中央氣象局持續發布蘇拉颱風海上...
2023/08/30 06:05
開學首日6鄉鎮1區停班課 全台颱風假一覽
中央氣象局指出,蘇拉昨(29)日晚間23時30分已轉...
2023/08/30 05:20
台灣再躲雙颱直撲 專家曬圖:真的很會閃
颱風蘇拉逐漸靠近台灣,中央氣象局持續發布蘇拉颱風海上...
2023/08/30 05:04
蘇拉深夜轉強颱!暴風圈進入巴士海峽
颱風蘇拉逐漸靠近台灣,中央氣象局持續發布蘇拉颱風海上...
2023/08/30 00:04
蘇拉南北超極端 全台風雨時程攻略來了
颱風蘇拉接近台灣,中央氣象局今(29)日正式發布陸上...
2023/08/29 22:19
「蘇拉」重開眼!專家:險再現尼伯特夢魘
中颱「蘇拉」來勢洶洶,中央氣象局今(29)日下午17...
2023/08/29 21:44
蘇拉暴風圈狠掃南台灣!明雨彈狂轟4縣市
第9號颱風蘇拉即將逼近台灣,有哪些地區要格外注意呢?...
2023/08/29 21:40
1圖看蘇拉動向 這2天雨最大東南部注意
颱風蘇拉接近台灣,中央氣象局今(29)日正式發布陸上...
2023/08/29 21:28
蘇拉暴風圈將通過2地區 這時間解除陸警
蘇拉颱風來勢洶洶,目前已經發布陸上警報。今(29)日...
2023/08/29 21:18
蘇拉襲台!明東南部大雨、桃園至高雄高溫
氣象局晚間表示,蘇拉颱風目前位於鵝鑾鼻的南南東方並預...
2023/08/29 21:14
最新圖輯
更多
初孟軒、鍾岳軒專訪
龍千玉與翁立友領豪記唱片群星拜年
Rain鄭智薰小巨蛋演唱會
金在中演唱會
羅志祥30周年演唱會
凱琳專訪
黃鐙輝、吳念軒、黃騰浩專訪
第62屆金馬獎得獎後台
第62屆金馬獎紅毯
劉書宏專訪
今日頭條
1
各國拒護航荷莫茲 他要賴清德派國軍參與
2
紅牌重機女自摔、再被輾過…送醫搶救不治
3
要3張衛生紙遭鴨肉店公審 員工急刪文發聲
4
伊朗飛彈襲卡達!最大天然氣生產樞紐起火
5
婚變+失靠山打擊!方志友經紀公司爆收攤
6
鋒面通過今起變天 北台灣降溫雨連下3天
7
蔡英文親曝當總統起因 全因有1個人在哭
8
台灣改「南韓」反制 陸網:應改叫南朝鮮
9
美情報:中國未計畫2027攻台 統一仍首選
10
高市訪美會川普!他:對台是機會也是壓力
HOT焦點
更多
長耀辰挺青年首付18萬 高品質泳池花園宅
企業齊聚!逾五成免經驗助新鮮人起跑
人生的第一瓶鷄精!由白蘭氏幫你買單
頻道推薦
直播✦活動
三立新聞網
為了提供更好的閱讀內容,我們使用相關網站技術來改善使用者體驗,也尊重用戶的隱私權,特別提出聲明。
了解最新隱私權聲明
知道了