APP下載
活動
爆料
圖輯
AI爆報
追蹤新聞
3
台灣彩券開獎直播中
三立iNEWS新聞台線上直播
LIVE三立+24小時直播
即時
WBC經典賽
美以突襲伊朗
新聞
熱門
政治
社會
娛樂
生活
新奇
健康
國際
兩岸
運動
財經
房產
旅遊
科技
汽車
遊戲
ESG
影音
總覽
政論
節目
熱搜
直播
iNEWS
專題
總覽
特企
專頁
大事件
彩券
專欄
民調
快訊
憂中國增軍事威脅!這義大利議員聲明挺台
07:41
嘉義恐怖火警!烈焰連吞13戶1人灼傷送醫
07:39
小S當街痛哭惹鼻酸 艾莉絲憶1事:能理解
07:38
航空界奧斯卡!桃機1服務奪第一狠甩日本
07:23
每月1萬滾成2000萬 專家:買1檔ETF忘了它
07:17
土地公龍抬頭遇春分 命理師曝4招掃霉運
07:17
卡達與伊朗油田遭攻擊 油價飆近110美元
07:06
伊朗飛彈襲卡達!最大天然氣生產樞紐起火
07:00
1國民小吃漲破百 大票饕客拒買:多年沒吃
07:00
養龍蝦炒股?驚變「全自動虧錢」!
07:00
爆財務危機、接不到業配 鍾明軒再發聲
06:54
要3張衛生紙被鴨肉店公審!女一句母心疼
06:53
頂台積電工程師光環…領高薪竟淪超商慣竊
06:50
BTS回歸演唱會 周邊公司強迫員工休年假
06:41
5檔飆股「全被抓去關」 全部關到4月1日
06:34
鎖定原料價格!福貞避險有一套保毛利
06:30
「活躍槍手」闖美空軍基地…釀1死1傷慘案
06:30
婚變+失靠山打擊!方志友經紀公司爆收攤
06:24
鋒面通過今起變天 北台灣降溫雨連下3天
06:18
台指期夜盤重挫661點 台股開盤恐不妙!
06:18
台灣彩券開獎直播中
20:31
長耀辰挺青年首付18萬 高品質泳池花園宅
18:00
企業齊聚!逾五成免經驗助新鮮人起跑
18:00
皮膚科學翻轉美業 創一條龍科技養膚
12:00
智慧城市展登場!電信業者連續13年參展
11:00
力挺拔河國家隊 華南銀行頒奪牌激勵獎金
10:00
越睡肩頸越痠痛?!專家:選對枕頭是關鍵
10:00
首頁
關鍵字
蘇拉
蘇拉
「6鄉鎮1區」30日停班課 全台颱風假一覽
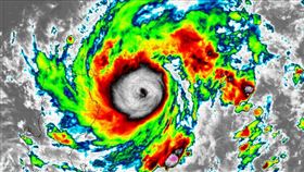
中央氣象局今(29)日正式針對今年第9號颱風「蘇拉」...
2023/08/29 21:13
蘇拉海陸警齊發 蔡英文:已請各部會支援
中颱「蘇拉」來勢洶洶,預計將在明、後天最接近台灣。對...
2023/08/29 20:37
開學放颱風假落空!台東宣布明正常上班課
中颱蘇拉持續逼近台灣,氣象局今(29)日傍晚持續發布...
2023/08/29 20:16
蘇拉陸警發布!4超商民生用品「買1送1」
蘇拉颱風來勢洶洶,中央氣象局於今(29)日下午5時3...
2023/08/29 19:43
開學遇蘇拉颱風將停班課?明風雨預測出爐
中央氣象局今(29)日傍晚對「蘇拉」颱風發布陸上颱風...
2023/08/29 19:14
中颱蘇拉發陸警「可能放颱風假地區」出爐
「蘇拉」颱風持續接近台灣,中央氣象局今(29)日17...
2023/08/29 18:13
新/陸警發布!警戒區「可能再擴大」
中央氣象局今(29)日正式針對今年第9號颱風「蘇拉」...
2023/08/29 17:26
蘇拉緊逼!屏東20點宣布是否停班停課
氣象局今(29)日中午針對第9號颱風蘇拉發布海上颱風...
2023/08/29 17:16
明天是否放颱風假?台東最晚22時前宣布
中颱蘇拉來勢洶洶,中央氣象局指出,今(29)日17時...
2023/08/29 16:46
新/17:30陸警!1縣市納首波警戒區
蘇拉逐漸接近,中央氣象局今(29)日表示,若其路徑、...
2023/08/29 14:52
還有颱風?第12號「鴻雁」最快這天生成
氣象局昨(28日)晚針對第9號颱風蘇拉發布海上颱風警...
2023/08/29 14:36
蘇拉路徑南修!陸警時間延後
中央氣象局持續針對蘇拉發布海上颱風警報,由於蘇拉速度...
2023/08/29 12:18
蘇拉午後陸警台中停班課有望?盧秀燕回應
中度颱風蘇拉(國際命名 SAOLA )進逼,氣象局昨...
2023/08/29 11:30
副手在哪裡?律師:看不出郭有選到底決心
郭台銘投入大選力拚連署,引發議論,律師呂秋遠今(29...
2023/08/29 11:23
台南水情轉正常!曾文烏山頭水庫蓄水7成6
氣象局昨(28日)深夜發布颱風蘇拉海上警報,加上曾文...
2023/08/29 10:37
「蘇拉」海警發布!船班異動一覽
中央氣象局目前已針對今年第9號颱風「蘇拉」發布海上颱...
2023/08/29 10:34
蘇拉有望「颱風假」!氣象局警戒6地區
氣象局28日深夜已經針對蘇拉颱風發布海上颱風警報,最...
2023/08/29 09:50
最快14:30陸警!首波警戒區出爐
第9號颱風「蘇拉」目前仍為中度颱風,中央氣象局今(2...
2023/08/29 09:30
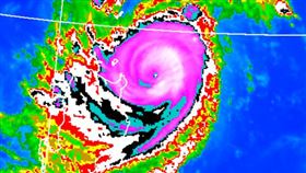
蘇拉、海葵恐藤原效應 風雨最大時間曝光
29日2時中央氣象局預報資料顯示,中颱蘇拉在呂宋島東...
2023/08/29 07:44
蘇拉下半天發陸警!暴風圈侵襲率達84%
中度颱風蘇拉(國際命名 SAOLA )進逼,氣象局昨...
2023/08/29 06:31
蘇拉恐轉強颱!專家說颱風假4縣市機率大
中度颱風蘇拉(國際命名 SAOLA )進逼,氣象局昨...
2023/08/29 05:49
暴風圈觸陸仍有可能⋯颱風假?專家這樣說
中度颱風蘇拉(國際命名 SAOLA )進逼,氣象局昨...
2023/08/29 05:08
又擦邊不登陸!專家:蘇拉南偏、海葵北偏
蘇拉颱風來勢洶洶,氣象局在28日23時30分發布海上...
2023/08/29 04:59
蘇拉「影響台最劇」時間曝 南台灣當心了
蘇拉颱風逼近台灣,氣象局昨(28)日晚間11點30分...
2023/08/29 04:40
蘇拉海警發布!氣象局曝「離台最近時間」
蘇拉颱風進逼,氣象局於今(28)日晚間11時30分發...
2023/08/28 23:51
新/戒備!氣象局23:30發布蘇拉海上警報
今年第9號颱風「蘇拉」即將來襲,氣象局週一(28日)...
2023/08/28 23:30
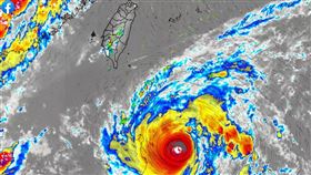
蘇拉颱風恐齊發海陸警 海葵未來路徑曝光
今年第11號颱風「海葵」今(28)日生成,目前太平洋...
2023/08/28 22:14
蘇拉週三、四逼近台灣 雨勢最大地區曝光
目前西北太平洋共有3個颱風,形成3颱共舞的局面,三力...
2023/08/28 21:07
蘇拉估明發陸警 恐與海葵聯手衝台路徑曝
今年第11號颱風海葵今(28)日生成,氣象粉專「用事...
2023/08/28 19:14
「海葵三世」生成 專家曝11年前驚人巧合
輕颱「海葵」今日上午在關島西方太平洋海上正式生成,不...
2023/08/28 18:00
最新圖輯
更多
初孟軒、鍾岳軒專訪
龍千玉與翁立友領豪記唱片群星拜年
Rain鄭智薰小巨蛋演唱會
金在中演唱會
羅志祥30周年演唱會
凱琳專訪
黃鐙輝、吳念軒、黃騰浩專訪
第62屆金馬獎得獎後台
第62屆金馬獎紅毯
劉書宏專訪
今日頭條
1
各國拒護航荷莫茲 他要賴清德派國軍參與
2
紅牌重機女自摔、再被輾過…送醫搶救不治
3
要3張衛生紙遭鴨肉店公審 員工急刪文發聲
4
伊朗飛彈襲卡達!最大天然氣生產樞紐起火
5
婚變+失靠山打擊!方志友經紀公司爆收攤
6
鋒面通過今起變天 北台灣降溫雨連下3天
7
蔡英文親曝當總統起因 全因有1個人在哭
8
台灣改「南韓」反制 陸網:應改叫南朝鮮
9
美情報:中國未計畫2027攻台 統一仍首選
10
高市訪美會川普!他:對台是機會也是壓力
HOT焦點
更多
智慧城市展登場!電信業者連續13年參展
長耀辰挺青年首付18萬 高品質泳池花園宅
企業齊聚!逾五成免經驗助新鮮人起跑
頻道推薦
直播✦活動
三立新聞網
為了提供更好的閱讀內容,我們使用相關網站技術來改善使用者體驗,也尊重用戶的隱私權,特別提出聲明。
了解最新隱私權聲明
知道了