APP下載
活動
爆料
圖輯
AI爆報
追蹤新聞
3
台灣彩券開獎直播中
三立iNEWS新聞台線上直播
LIVE三立+24小時直播
即時
WBC經典賽
美以突襲伊朗
新聞
熱門
政治
社會
娛樂
生活
新奇
健康
國際
兩岸
運動
財經
房產
旅遊
科技
汽車
遊戲
ESG
影音
總覽
政論
節目
熱搜
直播
iNEWS
專題
總覽
特企
專頁
大事件
彩券
專欄
民調
快訊
憂中國增軍事威脅!這義大利議員聲明挺台
07:41
嘉義恐怖火警!烈焰連吞13戶1人灼傷送醫
07:39
小S當街痛哭惹鼻酸 艾莉絲憶1事:能理解
07:38
航空界奧斯卡!桃機1服務奪第一狠甩日本
07:23
每月1萬滾成2000萬 專家:買1檔ETF忘了它
07:17
土地公龍抬頭遇春分 命理師曝4招掃霉運
07:17
卡達與伊朗油田遭攻擊 油價飆近110美元
07:06
伊朗飛彈襲卡達!最大天然氣生產樞紐起火
07:00
1國民小吃漲破百 大票饕客拒買:多年沒吃
07:00
養龍蝦炒股?驚變「全自動虧錢」!
07:00
爆財務危機、接不到業配 鍾明軒再發聲
06:54
要3張衛生紙被鴨肉店公審!女一句母心疼
06:53
頂台積電工程師光環…領高薪竟淪超商慣竊
06:50
BTS回歸演唱會 周邊公司強迫員工休年假
06:41
5檔飆股「全被抓去關」 全部關到4月1日
06:34
鎖定原料價格!福貞避險有一套保毛利
06:30
「活躍槍手」闖美空軍基地…釀1死1傷慘案
06:30
婚變+失靠山打擊!方志友經紀公司爆收攤
06:24
鋒面通過今起變天 北台灣降溫雨連下3天
06:18
台指期夜盤重挫661點 台股開盤恐不妙!
06:18
台灣彩券開獎直播中
20:31
長耀辰挺青年首付18萬 高品質泳池花園宅
18:00
企業齊聚!逾五成免經驗助新鮮人起跑
18:00
皮膚科學翻轉美業 創一條龍科技養膚
12:00
智慧城市展登場!電信業者連續13年參展
11:00
力挺拔河國家隊 華南銀行頒奪牌激勵獎金
10:00
越睡肩頸越痠痛?!專家:選對枕頭是關鍵
10:00
首頁
關鍵字
蘇拉
蘇拉
最快週二陸警 彭啟明曝北中南影響程度
氣象專家彭啟明發文寫下,北部:間歇雨、陣風;中部:主...
2023/08/27 13:51
熱鬧!東亞恐3颱共舞 準海葵扯腿蘇拉?
西北太平洋目前十分「熱鬧」,多個熱帶系統同時發展中,...
2023/08/27 11:46
蘇拉攜豪雨靠近!颱風假機率高2地區曝光
今年的第九號颱風「蘇拉」已變成強颱,中央氣象局表示,...
2023/08/27 11:30
專家揭蘇拉最可能登陸點:8/29有陸警機率
根據中央氣象局颱風消息,強烈颱風蘇拉今(27)日8時...
2023/08/27 11:20
全台6水庫蓄水量100% 「曾文衝破75%」
隨著接連的颱風帶來豐沛雨水,加上對流雲系發展,截至今...
2023/08/27 11:02
蘇拉來勢洶洶!連2天颱風假?氣象局回應
蘇拉颱風升級為強颱,氣象局預報員林定宜指出,颱風於今...
2023/08/27 10:49
蘇拉恐撲台灣南端 最快週一海警週二陸警
第9號颱風「蘇拉」已升級強颱,接下來會逐漸北轉朝台灣...
2023/08/27 10:34
家長剉咧等!週三開學日「颱風影響明顯」
蘇拉颱風於凌晨增強為強烈颱風,目前持續在呂宋島東方海...
2023/08/27 10:10
歐洲模式有巨變 蘇拉恐滯台「死纏爛打」
第九號颱風蘇拉升級強颱,預估接近台灣時強度正值巔峰,...
2023/08/27 10:03
蘇拉轉強颱!對台影響曝 一次看10天天氣
持續關心蘇拉颱風的走向,中央氣象局說,第9號颱風「蘇...
2023/08/27 09:15
趁颱風還沒來 今晚去新北看15分鐘煙火
上週日(8月20日)大稻埕夏日節壓軸的8分鐘煙火秀閃...
2023/08/27 09:11
蘇拉還會增強!風雨最劇時間曝光
今年的第9號颱風蘇拉(SAOLA)已升級強颱,27日...
2023/08/27 08:59
蘇拉轉強颱!全台變天時間、降雨熱區出爐
最新(27日2時)中央氣象局預報資料顯示,「蘇拉」中...
2023/08/27 07:06
蘇拉已轉強颱!向台逼近時間點出爐
氣象專家吳德榮表示,最新中央氣象局預報資料顯示,「蘇...
2023/08/27 05:51
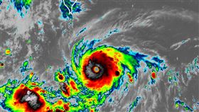
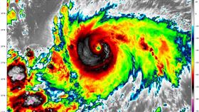
蘇拉颱風眼更清晰了!專家示警:可達強颱
蘇拉颱風來勢洶洶,強度持續增加中。臉書粉絲專頁「台灣...
2023/08/27 03:45
蘇拉不排除升格強颱 最快下週二發布海警
今年第9號「蘇拉」颱風是否會侵襲台灣?三立氣象主播黃...
2023/08/26 20:06
蘇拉將達顛峰!走1路線…這4縣市衝擊最大
中度颱風蘇拉在台灣東南方海域打轉,會不會直撲台灣是不...
2023/08/26 17:33
蘇拉強度變了!登陸地點有變數
中颱「蘇拉」和早上相比已有增強趨勢,中央氣象局表示,...
2023/08/26 16:06
「小鋼炮」蘇拉結構強勁!這天對台最影響
第9號颱風蘇拉升級為中度颱風,目前還在台灣東南方海域...
2023/08/26 15:23
中颱蘇拉開眼了 這天起影響台灣
目前太平洋海面上雙颱共存,其中中度颱風蘇拉對台灣影響...
2023/08/26 15:12
四年無颱登陸將終結?蘇拉1路徑直撲台灣
台灣已四年無颱風登陸,氣象專家分析,中颱「蘇拉」未來...
2023/08/26 13:52
蘇拉颱風「快開眼了」!挑戰強颱靠近台灣
太平洋地區目前有2個颱風,分別是第9號中度颱風「蘇拉...
2023/08/26 13:05
蘇拉恐登陸台灣!暴雨狂砸1地區一片紫爆
今年第9號颱風「蘇拉」今(26)日清晨2時升級為中度...
2023/08/26 12:05
蘇拉可能登陸台灣!2地區最有機會颱風假
今年第9號颱風「蘇拉」今(26)日清晨2時升級為中度...
2023/08/26 11:04
開學日恐「3颱共舞」放颱風假?機會曝光
太平洋面上目前有兩個颱風,分別為輕颱「蘇拉」、輕颱「...
2023/08/26 10:59
「蘇拉」轉中颱!8縣市高溫特報飆36度
蘇拉颱風未來可能再增強,下週有機會接近台灣,不過更要...
2023/08/26 10:06
彭啟明曝蘇拉有機會非常近:防颱預先準備
今年第9號颱風「蘇拉(SAOLA)」26日2時,中心...
2023/08/26 10:00
蘇拉變中颱還在增強 是否登陸這天明朗!
26日2時中央氣象局預報資料顯示,蘇拉增強為中度,未...
2023/08/26 08:30
蘇拉恐變強颱!這天海警、三颱共舞關鍵曝
今年第9號颱風蘇拉(國際命名SAOLA)在今(26)...
2023/08/26 06:47
蘇拉轉中颱威脅大!下週四登陸台東罩全台
今年第9號颱風蘇拉(國際命名SAOLA)在今(26)...
2023/08/26 06:04
最新圖輯
更多
初孟軒、鍾岳軒專訪
龍千玉與翁立友領豪記唱片群星拜年
Rain鄭智薰小巨蛋演唱會
金在中演唱會
羅志祥30周年演唱會
凱琳專訪
黃鐙輝、吳念軒、黃騰浩專訪
第62屆金馬獎得獎後台
第62屆金馬獎紅毯
劉書宏專訪
今日頭條
1
各國拒護航荷莫茲 他要賴清德派國軍參與
2
紅牌重機女自摔、再被輾過…送醫搶救不治
3
要3張衛生紙遭鴨肉店公審 員工急刪文發聲
4
伊朗飛彈襲卡達!最大天然氣生產樞紐起火
5
婚變+失靠山打擊!方志友經紀公司爆收攤
6
鋒面通過今起變天 北台灣降溫雨連下3天
7
蔡英文親曝當總統起因 全因有1個人在哭
8
台灣改「南韓」反制 陸網:應改叫南朝鮮
9
美情報:中國未計畫2027攻台 統一仍首選
10
高市訪美會川普!他:對台是機會也是壓力
HOT焦點
更多
二二八公園福德宮香火旺 迎接週五頭牙
自由車環台賽六堆站 客家庄路線設3衝刺點
金控首座銀證共營據點 實現一站式服務
頻道推薦
直播✦活動
三立新聞網
為了提供更好的閱讀內容,我們使用相關網站技術來改善使用者體驗,也尊重用戶的隱私權,特別提出聲明。
了解最新隱私權聲明
知道了